DIAPORAMA "'4"

mardi 9 juillet 2013

CAIRNS ET LA GREAT BARRIER REEF

Enfin nous arrivons à Cairns, où nous y resterons 4 jours, Cairns est la ville d'où il est le plus aisé d'atteindre la grande barrière de corail;

En séjournant à Cairns nous avons pu profiter de son centre pour s'y balader,






un petit tour au marché, l'occasion pour nous de profiter des dégustations de fruits, (HUMMM)



                 un type bizarre,

               petite animation en soirée, avec un "fireman"


,

notre "camping" sans toilette et sans eau,

Mais comme à son habitude l'essentiel en OZ se trouve hors des villes

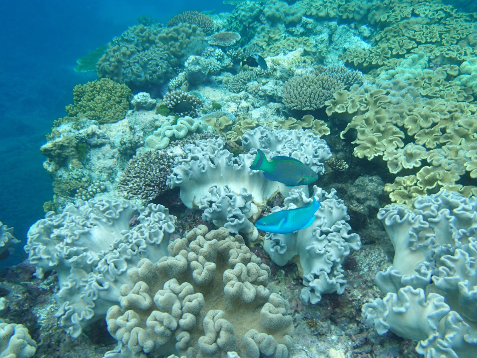
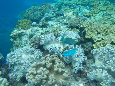
Great Barrier Reef:

Le récif est considéré comme la plus grande structure vivante sur Terre. et s'étend sur 2600 km,

nous prendrons donc un bateau pour la rejoindre au bout de 1H30 de trajet, nous y ferrons 3 spots de snorkeling et en prendrons pleins la vue, tant au niveau de la diversité des poissons et des coraux que la vivacité des couleurs. 
Toutefois, le temps étant un peu nuageux, c'est lors d'éclaircies que le spectacle sera le plus appréciable.
 Il va de soit qu'on a pas pu prendre en photos tout ce que l'on a vu sinon on ne pourrait pas profiter pleinement de ces précieux moments. De plus, celles-ci ne remplaceront jamais, l'oeil humain.






des némos ;)


  
bon camouflage mais pas assez efficace à nos yeux,





 notre première rencontre avec un requin, nous n'en verrons qu'un et resterons sur notre faim et lui aussi heureusement, 






             il est temps de partir....




2 commentaires:

  1. magnifiques photos j'adore....vous devez en avoir plein les yeux.
    j'aspire être en vacances encore 3 semaines ca vient bon...
    biz a vous

    a+

    mel

    RépondreSupprimer
  2. oui mel vraiement magnifique la gde barriere de corail, on aurait aimé y resté + lgt :) maintenant nous avons parcouru déjà pas mal de km, 10000 déjà qqes petites galeres avec eleven, nous espérons quil tiendra le coup lol, et nous essayons tjr de trouver un boulot mais pas si facile que ca... voila bisous

    RépondreSupprimer